RV lot and Trailer

By Elizabeth Gotay , 30 May 2025

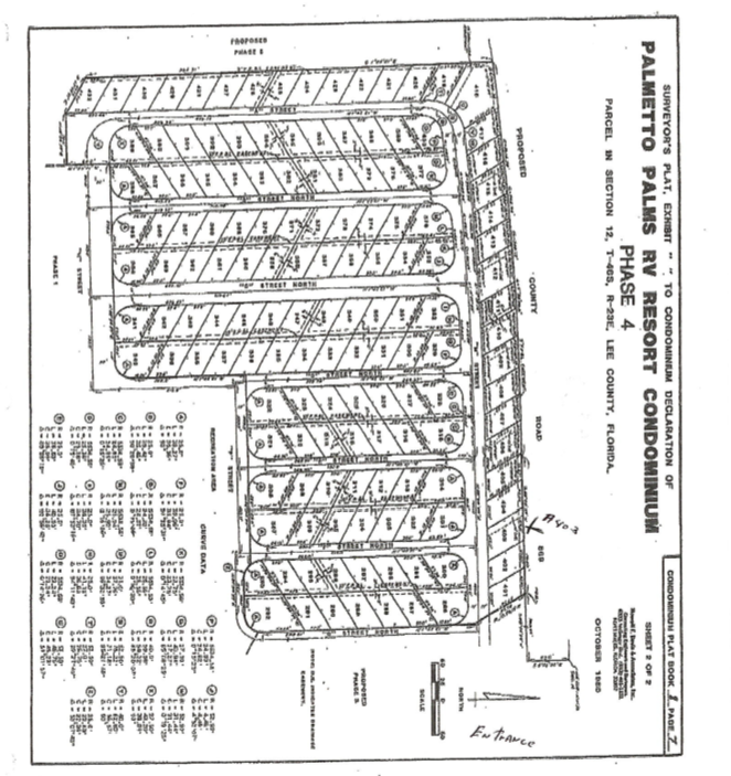
Palmetto Palms RV Lot #403 on M Street, survey and location map included in the images. The lot has a utility box, water, and sewer connections. Internet service is available. A security camera is located on the property. The lot is paved and has professionally designed landscaping with sprinklers. The lot and trailer are being sold together. Crossroads Trailer price $15,000, Lot 403 price $93,000 + total price $108,000. Down payment 5% = $5,400
Will offer financing.

Address
19681 Summerlin Rd, Fort Myers, FL 33908, USA
Asking Price
108,000